第④期智汇+科技成果分享 | 高端装备制造领域(无人机送货,物流快递设备)

发布时间: 2023-04-11

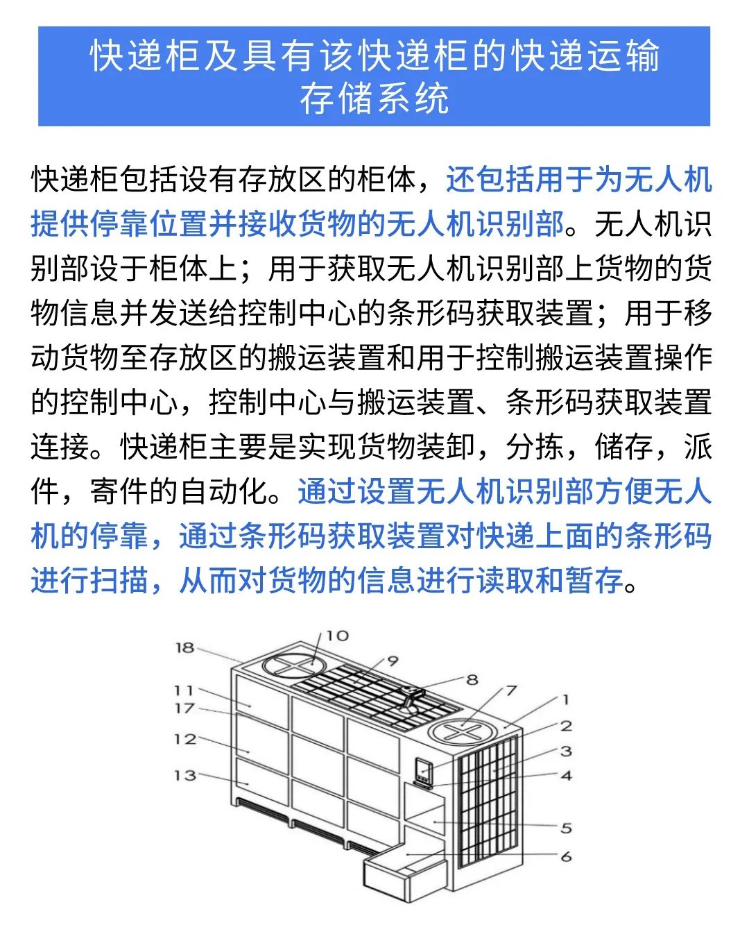
成果介绍  01

图片

成果介绍  02

图片

成果介绍  03

图片

成果介绍  04

图片

成果介绍  05

图片

图文来源:智汇plus 资讯